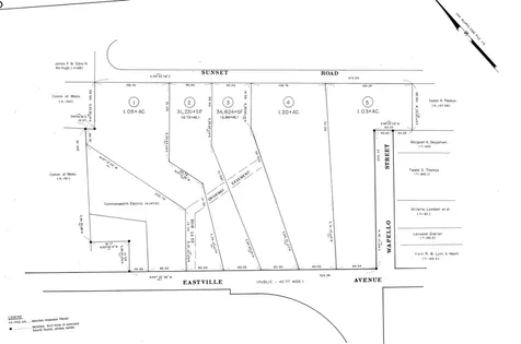
EXISTING FIVE (5) LOT SUBDIVISION IN OAK BLUFFS. THESE LOTS ARE ALREADY SUBDIVIDED. Almost 5 Acres of wooded, level land within half a mile of Eastville Beach, Doug's Cove Preserve (4.6 acres of Land Bank Property) and less than a mile to Oak Bluffs Harbor. NEW Shared Use Path runs along Eastville Avenue, when finished will link Vineyard Haven and Oak Bluffs for walking and cycling. Septic permits in place for two lots. Lot #1 - 147.2 (45,782sq.ft.) Permit in place for an APPROVED 6 Bedroom Septic System; Lot #2 - 147.3 - (31,320sq.ft.) 6 Bedroom Septic System Designed and submitted, NOT YET approved; Lot #3 - 147.4 - (34,824sq.ft.) 6 Bedroom Septic System Designed and submitted, NOT YET approved; Lot #4 - (52,451sq.ft.) 6 Bedroom Septic System Designed, NOT YET submitted; Lot #5 - (45,074sq.ft.) - Permit in place, APPROVED for a 4 Bedroom Septic System. Lot # 5 - May have access directly from Wapello Street. Ten (10) Bedrooms have been approved. Applications for an additional Twelve (12) Bedrooms are in process. Lot#2 - Application for 6 bedrooms. Lot#3 - Application for 6 Bedrooms. Lot #4 is undetermined at this point. Access may be allowed via Sunset Road or Eastville Avenue. Water is available via Sunset Road, at the property. Electricity is on site. Buyer is responsible for verifying any and all information on this property.

Listing Tools

Property Details of 0 Eastville Avenue, Lagoon/Harbor

Property Details

Exterior Features

Utilities and Appliances

Community

Map Location

Listed by Alisan Lohan-Conway Properties

Based on information submitted to LINKMV as of November 14, 2025 . All data is obtained from various sources and has not been, and will not be, verified by broker or LINKMV.  All information should be independently reviewed and verified for accuracy.  Properties may or may not be listed by the office/agent presenting the information. NOTICE: Many homes contain recording devices, and buyers should be aware they may be recorded during a showing.

Hi there! How can we help you?

Contact us using the form below or give us a call.

Send Us A Message:

I agree to receive marketing and customer service calls and text messages from Sandpiper Realty, Inc. To opt out, you can reply 'stop' at any time or click the unsubscribe link in the emails. Consent is not a condition of purchase. Msg/data rates may apply. Msg frequency varies. Privacy Policy.

Do not fill in this field:

This site is protected by reCAPTCHA and the Google Privacy Policy and Terms of Service apply.